La ciudad central filipina de Taclobán se encontraba el sábado en ruinas tras ser arrasada por uno de los tifones más poderosos de la historia, y los horrorizados residentes dijeron que las olas provocadas por la tormenta eran tan altas como árboles. Las autoridades temen "un número muy elevado de muertos".
Se confirmó la muerte de al menos 138 personas tras el paso del tifón Haiyan. Sin embargo, el secretario general de la Cruz Roja filipina Gwen Pang dijo que el personal del organismo emplazado en la región calculó que la cifra de muertos sería de unos 1.000 aunque eso "solamente un cálculo".
El tifón barrió seis islas del centro de las Filipinas, demoliendo edificios y arrasando viviendas de la costa. Por lo menos 118 de las muertes confirmadas ocurrieron en la isla de Leyte, donde se encuentra Taclobán, dijo el vocero de la agencia nacional de desastres, el mayor Reynaldo Balido.
Pero tras llegar el sábado a Taclobán, el secretario del Interior Mar Roxas dijo que es demasiado pronto para saber cuántas personas murieron a causa de la tormenta, que se dirigía a Vietnam tras abandonar Filipinas.
"Las operaciones de rescate están en marcha. Esperamos un número muy elevado de muertes y de heridos", dijo Roxas. "Todos los sistemas, todos los vestigios de vida moderna como comunicaciones, electricidad, agua, dejaron de funcionar. Los medios de comunicación no funcionan, por lo que no hay forma de comunicarse en masa con la gente".
El presidente Benigno Aquino dijo que las bajas "serán sustancialmente mayores", pero no dio un cálculo aproximado. Agregó que la prioridad del gobierno es restaurar la electricidad y las comunicaciones en zonas aisladas para permitir el envío de ayuda y asistencia médica a las víctimas.
La Cruz Roja filipina y sus socios preparan una gran campaña de socorro "ante la magnitud del desastre", dijo el presidente del organismo, Richard Gordon.
El aeropuerto de Taclobán, ciudad de unos 200.000 habitantes situada a unos 580 kilómetros (360 millas) al sureste de Manila, lucía el sábado como un fangoso descampado lleno de escombros, con tejados de metal arrancados y vehículos volcados. Las vidrieras de la torre de control del aeropuerto quedaron destrozadas y los helicópteros de la fuerza aérea estaban dedicados a las operaciones de socorro.
"Es tal la devastación que no encuentro palabras para describirla", dijo Roxas. "Es realmente horroroso. Es una gran tragedia humana".
El secretario de Defensa Voltaire Gazmín dijo que Aquino "enmudeció" cuando le comunicó la devastación causada por el tifón en Taclobán.
"Le dije que todos los sistema dejaron de funcionar", indicó Gazmín. "No hay electricidad, ni agua, nada. La gente está desesperada. Se ha dedicado al saqueo".
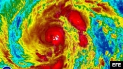
Los vientos sostenidos del tifón se debilitaron el sábado a 163 kilómetros por hora (101 mph) con ráfagas de hasta 210 kph (131 mph) mientras el fenómeno se alejaba de Filipinas con rumbo a Vietnam.
Los meteorólogos indicaron que cuando su vórtice tocó tierra, Haiyan tenía vientos sostenidos de 235 kilómetros por hora (147 millas por hora) y ráfagas de 275 kph (170 mph), el tifón más potente en lo que va del año, comparable con un huracán de categoría cuatro y cerca de la categoría cinco, la máxima.
Huracanes, ciclones y tifones son lo mismo. Simplemente que se les llama distinto según el lugar del mundo donde se producen.
Se confirmó la muerte de al menos 138 personas tras el paso del tifón Haiyan. Sin embargo, el secretario general de la Cruz Roja filipina Gwen Pang dijo que el personal del organismo emplazado en la región calculó que la cifra de muertos sería de unos 1.000 aunque eso "solamente un cálculo".
El tifón barrió seis islas del centro de las Filipinas, demoliendo edificios y arrasando viviendas de la costa. Por lo menos 118 de las muertes confirmadas ocurrieron en la isla de Leyte, donde se encuentra Taclobán, dijo el vocero de la agencia nacional de desastres, el mayor Reynaldo Balido.
Pero tras llegar el sábado a Taclobán, el secretario del Interior Mar Roxas dijo que es demasiado pronto para saber cuántas personas murieron a causa de la tormenta, que se dirigía a Vietnam tras abandonar Filipinas.
"Las operaciones de rescate están en marcha. Esperamos un número muy elevado de muertes y de heridos", dijo Roxas. "Todos los sistemas, todos los vestigios de vida moderna como comunicaciones, electricidad, agua, dejaron de funcionar. Los medios de comunicación no funcionan, por lo que no hay forma de comunicarse en masa con la gente".
El presidente Benigno Aquino dijo que las bajas "serán sustancialmente mayores", pero no dio un cálculo aproximado. Agregó que la prioridad del gobierno es restaurar la electricidad y las comunicaciones en zonas aisladas para permitir el envío de ayuda y asistencia médica a las víctimas.
La Cruz Roja filipina y sus socios preparan una gran campaña de socorro "ante la magnitud del desastre", dijo el presidente del organismo, Richard Gordon.
El aeropuerto de Taclobán, ciudad de unos 200.000 habitantes situada a unos 580 kilómetros (360 millas) al sureste de Manila, lucía el sábado como un fangoso descampado lleno de escombros, con tejados de metal arrancados y vehículos volcados. Las vidrieras de la torre de control del aeropuerto quedaron destrozadas y los helicópteros de la fuerza aérea estaban dedicados a las operaciones de socorro.
"Es tal la devastación que no encuentro palabras para describirla", dijo Roxas. "Es realmente horroroso. Es una gran tragedia humana".
El secretario de Defensa Voltaire Gazmín dijo que Aquino "enmudeció" cuando le comunicó la devastación causada por el tifón en Taclobán.
"Le dije que todos los sistema dejaron de funcionar", indicó Gazmín. "No hay electricidad, ni agua, nada. La gente está desesperada. Se ha dedicado al saqueo".
Los vientos sostenidos del tifón se debilitaron el sábado a 163 kilómetros por hora (101 mph) con ráfagas de hasta 210 kph (131 mph) mientras el fenómeno se alejaba de Filipinas con rumbo a Vietnam.
Los meteorólogos indicaron que cuando su vórtice tocó tierra, Haiyan tenía vientos sostenidos de 235 kilómetros por hora (147 millas por hora) y ráfagas de 275 kph (170 mph), el tifón más potente en lo que va del año, comparable con un huracán de categoría cuatro y cerca de la categoría cinco, la máxima.
Huracanes, ciclones y tifones son lo mismo. Simplemente que se les llama distinto según el lugar del mundo donde se producen.